LOADING

805-807 Athol Street Whitby (Downtown Whitby), Ontario L1N 4A1

1 ac

$2,179,000

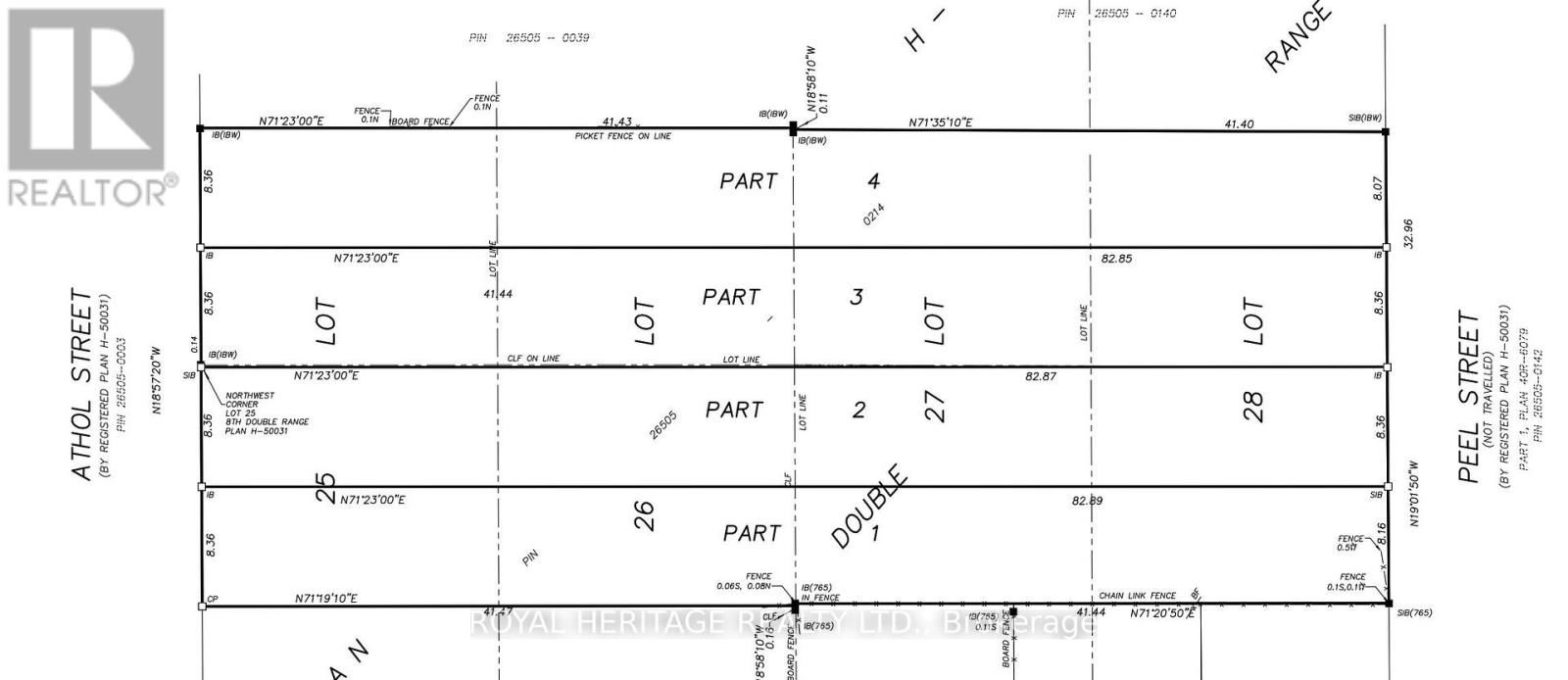
Calling all developers, builders, and investors! PREMIUM DEVELOPMENT SITE! Buttoned down and ready to be built on. All costs of development are paid for, save and except Development charges. Note: Completely serviced to the lot line. 4 Semi-Detached Bungalows creatively architecturally inspired for a single family home and/or with fully legal basement apartment. Located in the downtown core of Whitby these extra deep lots are truly a rare find. NoteL the parcels all back onto Peel Park - Tennis courts, baseball diamond, soccer field etc. Situated in a highly desirable, family-friendly neighbourhood, this location offers close proximity to schools, parks, and convenient access to Highways 401, 412, and 407, as well as public transit. Walking distance to all amenities, restaurants, shopping & more! (id:45725)

Property Details

MLS® Number E12901988
Property Type Vacant Land
Community Name Downtown Whitby

Building

Size Interior 1 Ac
Utility Water Municipal Water

Land

Acreage No
Size Depth 271 Ft ,9 In
Size Frontage 109 Ft ,8 In
Size Irregular 0.68
Size Total 0.68 Ac
Size Total Text 0.68 Ac
Zoning Description R2-dt

https://www.realtor.ca/real-estate/29494523/805-807-athol-street-whitby-downtown-whitby-downtown-whitby

Interested?

Contact us for more information


Generating Captcha

Your Favourites

 

No Favourites Found